Topics

Readings

  • ★ [@2010DIXON-LetThemEat] ^ae084a
    • How does contact affect advantaged and disadvantaged groups? (What are similarities and differences in these effects?)
      • Similarities
        1. Positive contact can lead to reduced prejudice and improved attitudes towards the disadvantaged group.
        2. Direct contact, such as face-to-face interaction, is generally more effective than indirect contact, such as exposure to media representations of the disadvantaged group.
        3. The effectiveness of contact in reducing prejudice is influenced by the quality and frequency of the contact.
      • Differences
        1. For advantaged groups, positive contact with a disadvantaged group can lead to feelings of guilt, shame, or discomfort. This may lead to a backlash effect, where the advantaged group becomes defensive or even more prejudiced towards the disadvantaged group.
        2. For disadvantaged groups, positive contact with the advantaged group can lead to feelings of empowerment, increased self-esteem, and reduced anxiety or stress.
        3. The context of the contact can also affect its effectiveness. For example, contact in a professional or academic setting may be more effective for reducing prejudice than contact in a casual or social setting.
    • What are three explanations the authors provide for the ironic effects of contact?
      1. Threats to group identity
        • Contact between groups can threaten the identity of the advantaged group, leading them to feel a sense of loss or threat to their own group identity.
        • This can result in increased prejudice and negative attitudes towards the disadvantaged group as a way of reasserting their own group identity.
      2. Intergroup anxiety
        • Contact between groups can lead to increased anxiety or discomfort, particularly for the advantaged group, who may feel pressure to perform well or avoid appearing prejudiced.
        • This anxiety can actually increase negative attitudes and prejudice towards the disadvantaged group.
      3. Attributional ambiguity
        • When members of the advantaged group have positive interactions with members of the disadvantaged group, they may attribute the positive outcomes to external factors, such as luck or the situation, rather than to the individual members of the disadvantaged group.
        • This can result in continued negative attitudes towards the group as a whole, even if the individual members were perceived positively.
    • How is the collective action model different from the prejudice reduction model?
      • Goal
        • The collective action model is focused on reducing intergroup conflict and inequality by promoting collective action and social change.
        • In contrast, the prejudice reduction model is focused on reducing prejudice and increasing positive attitudes between groups through contact and other cognitive or behavioral interventions.
      • Emphasis on group dynamics
        • The collective action model emphasizes the importance of understanding the power dynamics between groups and the role of social norms and institutions in perpetuating inequality.
        • The prejudice reduction model, on the other hand, focuses more on individual-level processes, such as attitudes and cognitive biases, and how these can be changed through intervention.
      • Emphasis on action:
        • The collective action model emphasizes the importance of taking action to address inequality and prejudice, often through collective efforts and social movements.
        • The prejudice reduction model, while it may involve some behavioral change, is more focused on changing attitudes and beliefs
      • Different interventions
        • The collective action model may involve interventions such as mobilizing social movements, creating new institutions, or changing policies to address inequality.
        • The prejudice reduction model, on the other hand, may involve interventions such as intergroup contact, perspective-taking exercises, or cognitive re-framing to reduce prejudice.
  • [@2020MOUSA-BuildingSocialCohesion] ^4125c7
    • What is the contact hypothesis?
      • Contact Hypothesis: intergroup contact, specifically through soccer, can promote social cohesion between Christians and Muslims in post-ISIS Iraq
      • Details
    • What was the prejudice reduction intervention used in this study? How was it implemented (i.e., what was the sample and method)?
      • The intervention was implemented through a randomized controlled trial. The study sample consisted of 1,175 Iraqi Christians who were displaced by ISIS and currently living in displacement camps in Erbil, Iraq.
      • The participants were randomly assigned to one of two soccer teams: an all-Christian team or a team mixed with Muslims. The teams played each other in a tournament, and the researchers measured changes in intergroup attitudes and behaviors before and after the tournament
      • Result found that intergroup contact through soccer led to increased positive attitudes and social cohesion between Christians and Muslims
    • How did the researcher operationalize intergroup social cohesion? Do you think behavioral and attitudinal outcome scales measured what they purported to measure
      • They operationalized intergroup social cohesion in her study by using the contact hypothesis
      • The behavioral outcomes measured in the study included attending mixed dinner events and a joint cultural event, while the attitudinal outcomes measured were perceived discrimination, anxiety towards outgroup members, and in-group bias. The scales used to measure these outcomes were adapted from previous studies and were found to have adequate reliability and validity. However, it is important to note that these scales are not perfect measures of intergroup social cohesion, as they may not capture all aspects of this complex construct.
      • Overall, while the behavioral and attitudinal outcome scales used in the study may not have captured all aspects of intergroup social cohesion, they did measure relevant constructs and were found to have adequate psychometric properties.
    • What did the study find? On which DVs did the intervention produce changes? On which did it not produce changes?
      • The study found that intergroup contact through soccer had a positive impact on social cohesion between Christians and Muslims in post-ISIS Iraq.
      • The intervention resulted in improved behaviors towards Muslim peers among Christians, such as expressing less prejudice, more positive attitudes, and greater willingness to interact with Muslims.
      • The intervention did not, however, substantially affect behaviors in other social contexts, such as patronizing a restaurant in Muslim-dominated Mosul or attending a mixed social event
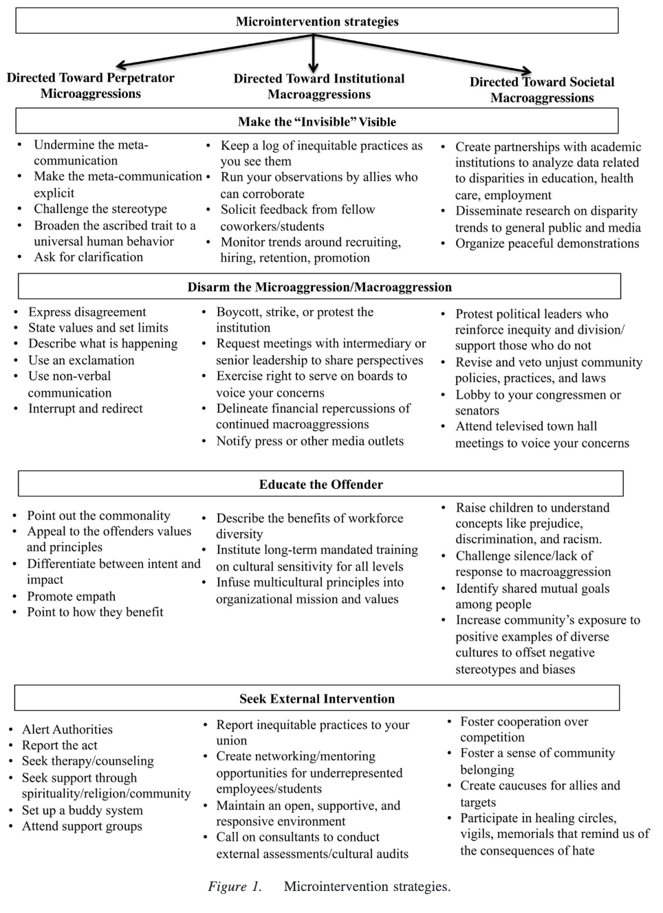
  • [@2019SUE-DisarmingRacialMicroaggressions] ^ae9b5b
    • What are microaggressions? What are macroaggressions? What is the difference between them? How do they affect people of colour, according to the authors?
      • Microaggressions as “the everyday slights, insults, putdowns, invalidations, and offensive behaviors that people of color experience in daily interactions with generally well-intentioned White Americans who may be unaware that they have engaged in racially demeaning ways toward target groups”
      • Macroaggressions, on the other hand, are “overt and intentional acts of discrimination”
      • Microaggressions can have a significant impact on the mental health and well-being of people of color. These experiences can lead to feelings of anger, frustration, confusion, and helplessness, as well as contribute to anxiety and depression. Moreover, the authors argue that the cumulative effect of microaggressions over time can lead to a sense of alienation and disconnection from mainstream society, which can have a negative impact on the overall quality of life of people of color
    • Who are targets, allies, and bystanders, according to the authors?
      • The targets refer to individuals who experience microaggressions and are the focus of the microintervention strategies.
      • White allies are people who identify as white and are committed to fighting against racism and promoting equality. They can use their privilege to disrupt and challenge the microaggressions directed towards targets.
      • Bystanders are individuals who witness microaggressions but are not the target of such aggression. Bystanders can intervene in a variety of ways, including speaking up, providing support to the target, or seeking assistance from others to address the situation
    • What are the four broad types of strategies for addressing microinterventions that the authors identify? What are examples of each kind of microintervention that could be directed toward perpetrator microaggressions, institutional macroaggressions, and societal macroaggressions?
    • What aspects of this research do you think could apply to other groups (i.e., those defined by something other than race) or other cultural contexts? Why or why not? [note that there is no one right answer to this question, rather it’s a prompt for you to critically consider how you think this work may or may not apply to other contexts]
      • While the article focuses on race-related bias, it is possible that the concepts and strategies presented could be applied to other forms of bias, such as those related to gender, sexuality, ability, or religion. However, it is important to note that each group’s experiences of bias may differ and require unique strategies for intervention and prevention. Additionally, the cultural context in which the bias occurs is also important to consider, as cultural values and norms may affect how bias is perceived and addressed. Therefore, while the framework presented in this article may be a useful starting point for addressing bias in other contexts, it would need to be adapted and tailored to specific groups and cultural contexts.
  • [@2022OKONOFUA-SideliningBiasSituationist] ^47c469
    • How do the authors conceptualize the self? What are working selves?
      • The authors conceptualize the self as consisting of multiple working selves.
      • Each working self is a different aspect of a person’s identity that can be activated in different situations and contexts, and can influence behavior and decision-making
      • The authors propose that interventions based on the sidelining-bias approach aim to elevate a nonbiased or antibiased alternative self and ideal goals for which biased behavior would not be functional. By activating a working self that prioritizes these alternative goals, individuals may be less likely to engage in biased behavior
    • How is the sidelining approach different from common bias-reduction approaches?
      • One key difference is that the sidelining approach treats bias (or non-bias, or anti-bias) as an expression of the working self and the kinds of goals that this self can pursue in a given context. This shifts responsibility and causality from bad individuals to bad situations
      • Additionally, interventions based on the sidelining approach are designed to mitigate discrimination by elevating a nonbiased (or antibiased) alternative self and ideal goals for which biased behavior would not be functional
      • Overall, the sidelining approach is designed to change the way people see themselves in a given context, rather than simply changing their attitudes or beliefs about others
    • What interventions are consistent with the sidelining approach? Why would each of these work to sideline bias?
      • he article provides examples of interventions consistent with the sidelining approach, such as “asking individuals to reflect on a time when they were successful in not behaving in a biased manner and to consider how they can apply these insights to their current context” [2]. Another example is “asking individuals to reflect on an alternative self that is not biased and to consider how they can activate this self in their current context”
      • The authors suggest that these interventions work to sideline bias by shifting individuals’ focus away from their biases and towards alternative selves and goals that are not biased. By doing so, these interventions can help individuals disengage from biased behaviors and instead engage in behaviors that align with their nonbiased or antibiased alternative selves and goals. This, in turn, can lead to more equitable outcomes in real-world contexts [1].